L’uragano Melissa è diverso da tutti quelli che lo hanno preceduto
Il riscaldamento climatico sta potenziando le tempeste oceaniche? Quali rischi corrono isole e coste? Melissa e la Giamaica sono la risposta a queste domande.

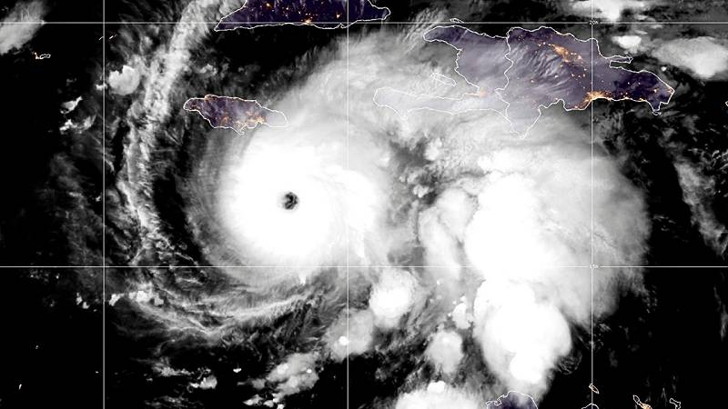
Melissa è il nome del primo uragano di categoria 5 a colpire la Giamaica, un’isola nei Caraibi che però vive anche il rischio di incredibili tempeste. Melissa non è l’uragano più potente, ma il più veloce nell’intensificarsi. Sono bastate 24 ore per trasformarsi da una tempesta moderata a un uragano con venti estremi (270 km/h di velocità). Gli scienziati che lo stanno studiando parlano di una rapida intensificazione.
Melissa ha lasciato poco tempo alle autorità per allertare le popolazioni e predisporre piani di evacuazione. Una situazione prevista da più tempo negli ultimi anni, a causa di eventi simili e improvvisi collegati all’aumento delle temperature globali. Gli scienziati stanno facendo il raffronto con Otis, in Messico (2023), e Rai, un tifone nelle Filippine del 2021.
 
Melissa e la testimonianza di due studiosi che si occupano di cambiamento climatico, prevenzione e resilienza ambientale
Melissa esplode in condizioni climatiche estreme: le temperature marine dei Caraibi sono da tempo sopra la norma, ovvero +1 grado. La causa è fino a 800 volte più probabile a causa del cambiamento climatico. Mare più caldo significa energia, tempeste, onde e inondazioni gravi o improvvise.
Alexander Baker e Liz Stephens sono un ricercatore scientifico e una docente universitaria sui rischi ambientali. Descrivono Melissa come segnale d’allarme. Il cambiamento climatico non sta solo rendendo più forti gli uragani, ma li sta anche accelerando. Si intensificano in poche ore, si muovono più lentamente e restano più a lungo sulla terraferma, scaricando quantità eccezionali di pioggia. Le comunità colpite hanno meno tempo per reagire e i danni aumentano in modo esponenziale. È urgente migliorare i modelli di previsione, potenziare il monitoraggio e preparare la risposta dei soccorsi per eventi sempre più imprevedibili.
Il riscaldamento globale porterà altre sorprese, raccontano i due studiosi. Gli uragani potrebbero diventare nuovamente più rapidi o più violenti. La Giamaica ha avuto difficoltà a seguire e intervenire su questo nuovo tipo di tempesta, che è riuscita a creare frane, inondazioni e allagamenti fino a un metro anche in montagna.
 
	  

